Auto HI-FI Club CZ

autohifi,auto hi-fi,auto hifi,autohificlub,auto hi-fi club,club, klub,fórum,autorádio,autozesilovač,autorádio cd,autorádio mp3,autorádio dvd, tuning,srazy,tuningshow,klub,emma,dbdrag,tuning,autotuning,carstyling, tlumeni, Alpine,octavia,Brax,Denon,Clarion,Pioneer,Sony,panasonic,Helix, Dynamat,dego,Hertz,Audison,Fusion,McIntosh,Focal,Rockford Fosgate,Dynaudio,JBL,xenony,becker,jvc,kenwood,ground zero,dietz,morel doorboardy ,zapojeni,felicia,pioneer,peugeot,zastavba,audio,306,repro,golf,instalace,dls,4x100,FELICIE,morpheus,helix,audi(forum)

o

Forum > Ostatní > Dotaz. přednost

 o Navštíveno 3052x o
o 14.08.2014, 10:02 | GooGoo
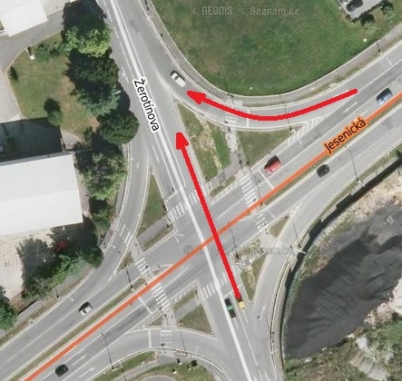
Auto které jede po hlavní silnici jesenická a odbočuje vpravo má přednost před autem které jede přímo po vedlejší. Včera mi bylo řečeno policajtem, že to tak není. Tak jak to je? Něco se změnilo, nebo křižovatka je nějaký atyp?

foto k příspěvku  od GooGoo



o 14.08.2014, 10:06 | Crimson
není to tak , že už to je "za" křižovatkou a auto z prava se vlastně připojuje do pruhu ?
o 14.08.2014, 10:15 | Downland
jako Crimson ?
o 14.08.2014, 10:22 | Freerider
Je to tak, jak píše Ozzy :-)
o 14.08.2014, 10:55 | GooGoo
Jasně to mi příjd logické ;) Ale kdy se bere to "za" křižovatkou?
o 14.08.2014, 11:24 | walish
Vždyť si v odbočovacím pruhu a sjíždíš z hlavní cesty. Navíc tam máš ještě světla se šipkou doprava a připojuješ se na tu cestu. Co je na tom k neporozumění?
o 14.08.2014, 11:32 | Pepíno_Honda
jako ty nade mnou.... zcela logické... vjíždíš do odbočovacího pruhu, nahoře jsi v připojovacím pruhu...
o 14.08.2014, 11:54 | PlusOne | Upraveno: 2014-08-14 12:04:24
Šumperk, křižovatka u Shellky.
Není tam náhodou "Dej přednost v jízdě?"
IMHO je to tam řízené semaforem, i když si nejsem jistý, jak přesně to svítí v tom odbočovacím pruhu...

EDIT:
[ Link ]
Dej přednost v jízdě tam není, je tam semafor, na kterém svítí žlutá ve stejnou dobu, jako pro jízdu přímo.

Podle mého je ten pruh ale stále součást křižovatky, říkávalo se tomu "křižovatka s odbočovacím pruhem", a přednost by měl mít ten, co jede po hlavní. Viz. [ Link ]
o 14.08.2014, 12:00 | Crimson
Existuje jakási "hranice křižovatky" googluj
o 14.08.2014, 12:06 | PlusOne | Upraveno: 2014-08-14 12:08:34
Aha, takže vše jasné. Hranicí křižovatky je "příčná čára souvislá" před přechodem pro chodce. Pokud by tam nebyla, je zbytek odbočovacího pruhu pořád součástí křižovatky, a tím pádem by měl GooGoo, sjíždějící z Jesenické, přednost. Je tak?
o 14.08.2014, 15:24 | .mycTD
mam za to, ze ta cara byva vetsinou jen na vjezdu do krizovatky ;-)
o  Zpět  o  Nahoru
o
 

Vložit nový příspěvek do fóra


  Pro vložení příspěvku musíte být přihlášen/a.
Stránka vygenerována za 0.3585 sekund.